
De l’imagerie performante disponible sur place
L’Hôpital vétérinaire Le Petit Laurier est doté d’appareils d’imagerie neufs à la fine pointe de la technologie. L’équipe vétérinaire est compétente dans l’analyse des images obtenues par les deux types d’imagerie couramment utilisés, soit l’échographie et la radiographie.
Quelle est la différence entre l’échographie et la radiographie?
La radiographie produit une image fixe en utilisant des rayons X. Elle est idéale pour examiner les structures dures comme les os, les dents ou les structures aériques comme les poumons. Cette image instantanée est l’équivalent d’une photo, elle ne montre pas le mouvement ou le fonctionnement des organes.
L’échographie, en revanche, permet de visualiser les organes internes en temps réel grâce aux ultrasons. Elle est particulièrement utile pour observer des tissus mous comme le cœur, le foie, ou les reins. Contrairement à la radiographie, l’échographie offre une vue dynamique, permettant au vétérinaire de suivre les mouvements des organes, par exemple les battements du cœur ou le flux sanguin.


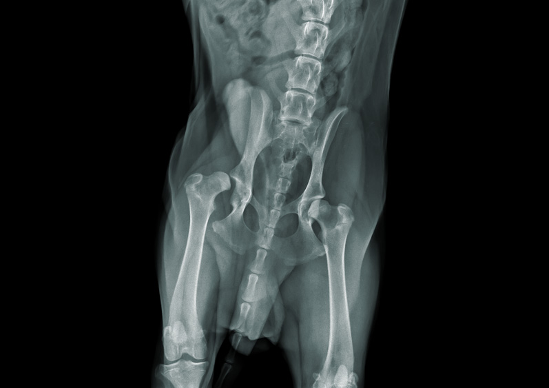
Diagnostics communément effectués avec l’imagerie
Grâce à la radiographie :
- Fracture
- Pneumonie
- Pierres dans la vessie
À l’échographie :
- Corps étranger
- Masse anormale abdominale
- Maladie rénale
- Effusion abdominale
D’autres méthodes d’imagerie plus poussées existent, comme le CT-Scan et l’IRM. Ces dernières sont disponibles en centre de référence.